杞木树

花与万物71|桤木 中文名: 桤木 科属: 桦木科,桤木属 拉丁学名: alnus
图片尺寸1708x1280
车梁木,红零子,红梗山茱萸,八树,癞树,油树~ 伞形目-山茱萸科-梾木属
图片尺寸400x534
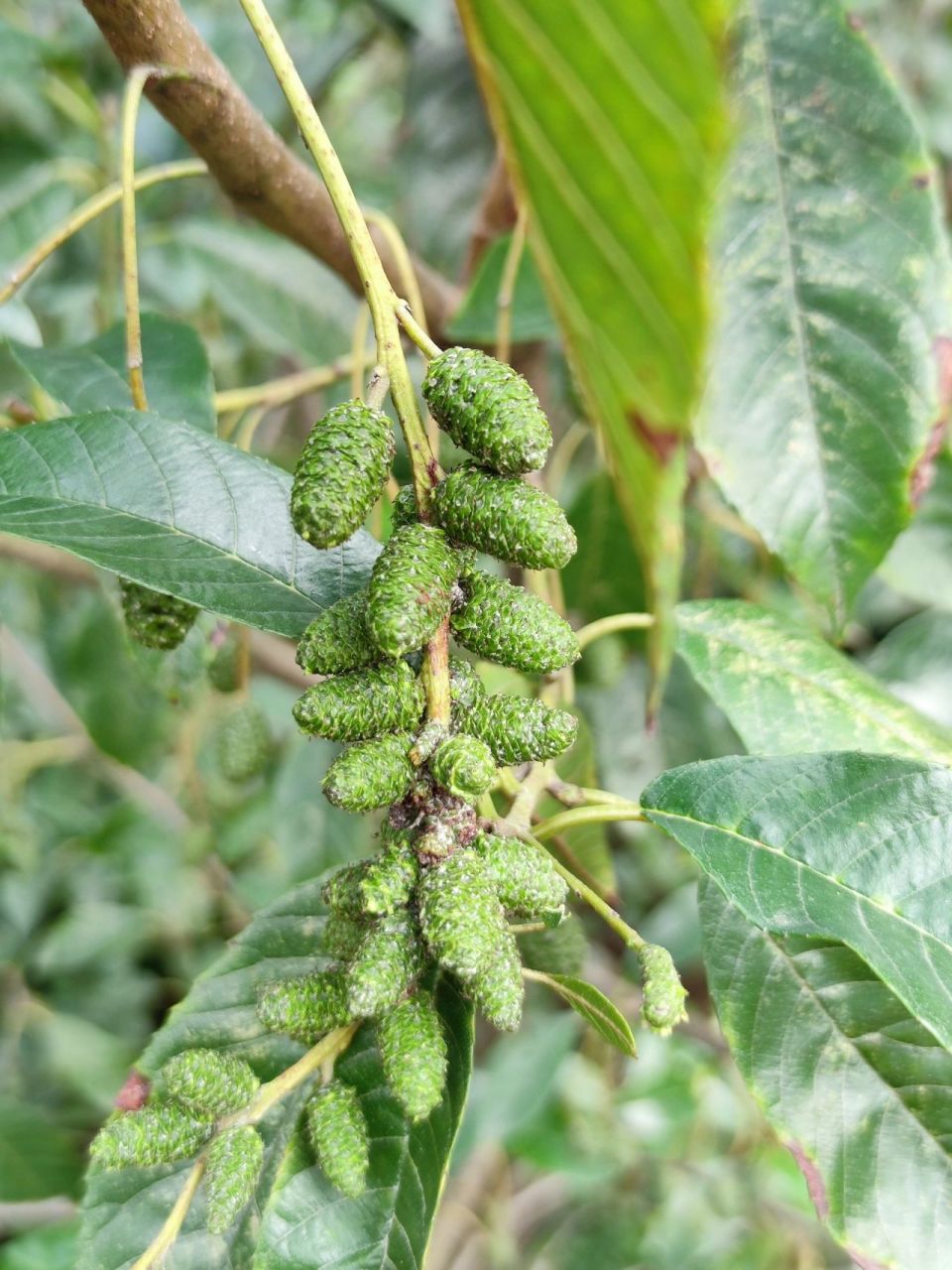
桤木,桦木科桤木属落叶乔木.2018.10.17.摄自崂山流清河.
图片尺寸1600x1200
花与万物71|桤木 中文名: 桤木 科属: 桦木科,桤木属 拉丁学名: alnus
图片尺寸960x1280
简介:桦木科桤木属植物.是中国特有种和福建重要的乡土树种之一.
图片尺寸700x538
小溪保护区植物-木防己(三)
图片尺寸1280x1223
桤木又名别名水冬瓜树,水青风,桤蒿,为桦木科,桤木属植物.
图片尺寸690x517
第一章中的桤树
图片尺寸838x471
植物知识科普,小编带你了解桤木属
图片尺寸834x652
桤木又名别名水冬瓜树,水青风,桤蒿,为桦木科,桤木属植物.
图片尺寸690x476
形态特征四川,贵州,陕西,甘肃主要产地族:桦木族属:桤木属科:桦木科
图片尺寸600x371
桦木科桤木属 桤木alnus cremastogyne
图片尺寸700x467
王安石 《偿薛肇明秀才桤木》桤木为桦木科,桤木属,乔木,别名:水冬瓜
图片尺寸600x378
不老草,多寄生于海拔1450-1800米的陡沟式悬崖峭壁上的桤木属植物的根
图片尺寸633x436
桤木,桦木科桤木属植物.
图片尺寸802x1200
川滇桤木alnus ferdinandi-coburgii桦木科桤木属
图片尺寸700x467
桤木属,也称赤杨属,夏绿落叶乔木或灌木.
图片尺寸1024x768
不老草,多寄生于海拔1450-1800米的陡沟式悬崖峭壁上的桤木属植物的根
图片尺寸639x439
中国特有种和福建重要的乡土树种之一——桤木
图片尺寸800x506
下带果植株introduce:采集地点:山东省青岛崂山北九水属:桤木属family
图片尺寸480x640