蜚蠊生活史图

蜚蠊
图片尺寸800x648
昆虫,影子,一只,动物,趴着,摄影,影棚,病菌,害虫,传染,四害,小强,蜚蠊
图片尺寸819x792
看,趴着,摄影,影棚,观看,察看,关注,病菌,害虫,传染,四害,小强,蜚蠊
图片尺寸819x754
蜚蠊形态学观察实验
图片尺寸580x800
摄影,影棚,观看,厌恶,察看,关注,病菌,害虫,传染,四害,小强,讨厌,蜚蠊
图片尺寸581x819
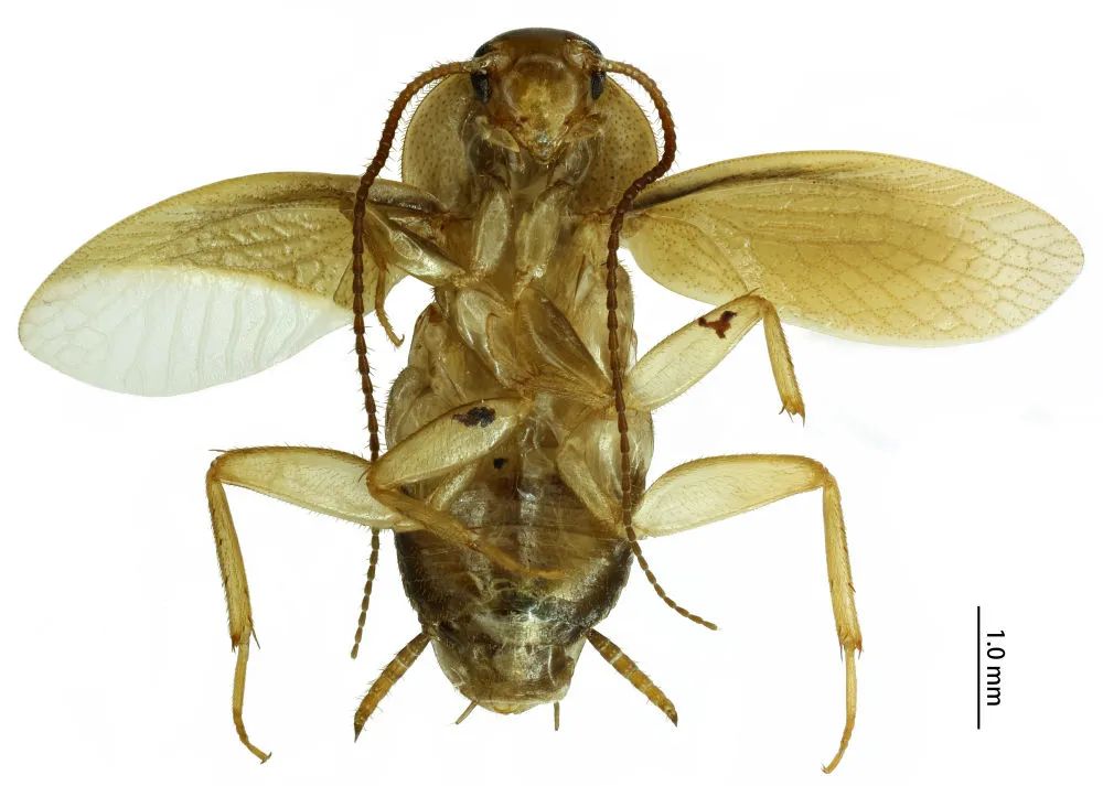
图为拉丁蠊属蜚蠊新种背面观.(拱北海关供图)
图片尺寸1080x720
蜚蠊目 – american cockroach
图片尺寸440x266
消息,该关所属中山港海关送检的病媒生物样本中,有4只蜚蠊经鉴定为
图片尺寸640x762
蟑螂属昆虫纲蜚蠊目,学名叫蜚蠊,俗称偷油婆,是zui古老的咀嚼口器有翅
图片尺寸315x310
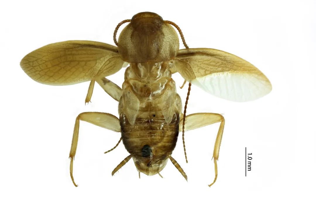
图为拉丁蠊属蜚蠊新种腹面观.(拱北海关供图)
图片尺寸1000x713
求教这是什么虫子,会飞,类似蟑螂的样子.有没有害?咬人吗?
图片尺寸600x253
看,站着,摄影,影棚,观看,察看,关注,病菌,害虫,传染,四害,小强,蜚蠊
图片尺寸819x421
蟑螂的生活史
图片尺寸640x262
细菌,昆虫,影子,一只,动物,摄影,影棚,病菌,害虫,传染,四害,小强,蜚蠊
图片尺寸528x819
图1是一只蜚蠊不过我怀疑它在拟态某些有毒甲虫比如说芫菁毕竟这实在
图片尺寸640x426
蜚蠊目生物
图片尺寸635x593
蜚蠊密度监测现场记录表
图片尺寸744x300
蜚蠊形态学观察实验
图片尺寸640x550
美洲蜚蠊
图片尺寸600x400
蟑螂别称小强,黄婆娘,偷油婆等,泛指属于蜚蠊目的昆虫,其中只有大约有
图片尺寸640x414