一针两嘴草药图片

p data-id="gnwvt9twt3">两面针( i>zanthoxylumnitidum /i>(roxb.
图片尺寸720x1280
偶得一株罕见(也算巨大了)的南药~两面针,俗称:钉板刺,入山 - 抖音
图片尺寸1440x1920
p data-id="gnwvt9twt3">两面针( i>zanthoxylumnitidum /i>(roxb.
图片尺寸640x856
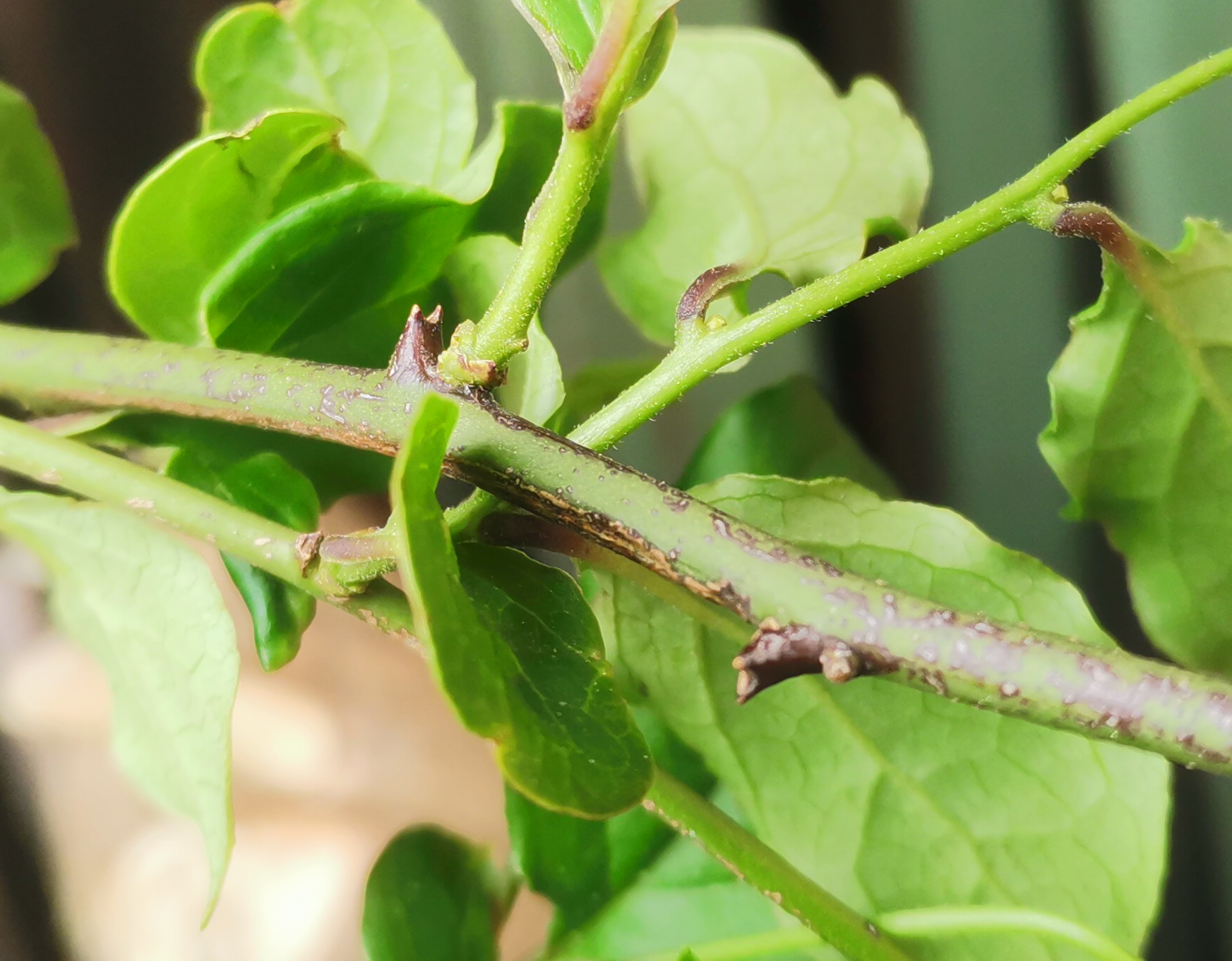
一勒有两咀,不怕骨头碎
图片尺寸1745x1362
野老鹳草丨也叫"鸭嘴草","短嘴老鹳草",隐藏于乡间的中草药
图片尺寸640x480
药用植物一两面针
图片尺寸640x766
大量收购单面针(两面针#药材收购 ) - 抖音
图片尺寸1440x1920
p data-id="gnwvt9twt3">两面针( i>zanthoxylumnitidum /i>(roxb.
图片尺寸596x419
为芸香科植物两面针的干燥根.全年均可采挖,洗净,切片或段,晒干.
图片尺寸1707x1280
山苦草 泰顺特产 苦草凉茶 下火新鲜 现采宝宝洗嘴巴 草药一把3元
图片尺寸631x629
每天认识一种云南中草药|两面针
图片尺寸1790x2560
p data-id="gnwvt9twt3">两面针( i>zanthoxylumnitidum /i>(roxb.
图片尺寸640x360
中药两面针图片 两面针图片 the tree trixie - 抖音
图片尺寸720x1600
两面针双面针材双面刺两面针中药材两面针根双面刺入地金牛两背针
图片尺寸750x750
p data-id="gnwvt9twt3">两面针( i>zanthoxylumnitidum /i>(roxb.
图片尺寸1080x1439
是一种草药,有一些刺,有奶的.
图片尺寸581x1032
农村有种树,可活600多年,刺是中药材,果实可以洗衣服
图片尺寸1600x1200
野老鹳草丨也叫"鸭嘴草","短嘴老鹳草",隐藏于乡间的中草药
图片尺寸640x480
湛江山草药老鸭嘴 鸭嘴藤 鸭子嘴藤干货新鲜500克
图片尺寸960x960
两面针.叶面长刺的药用植物两面针#中医 #养生 #健康科普 - 抖音
图片尺寸1280x1920