北半球台风

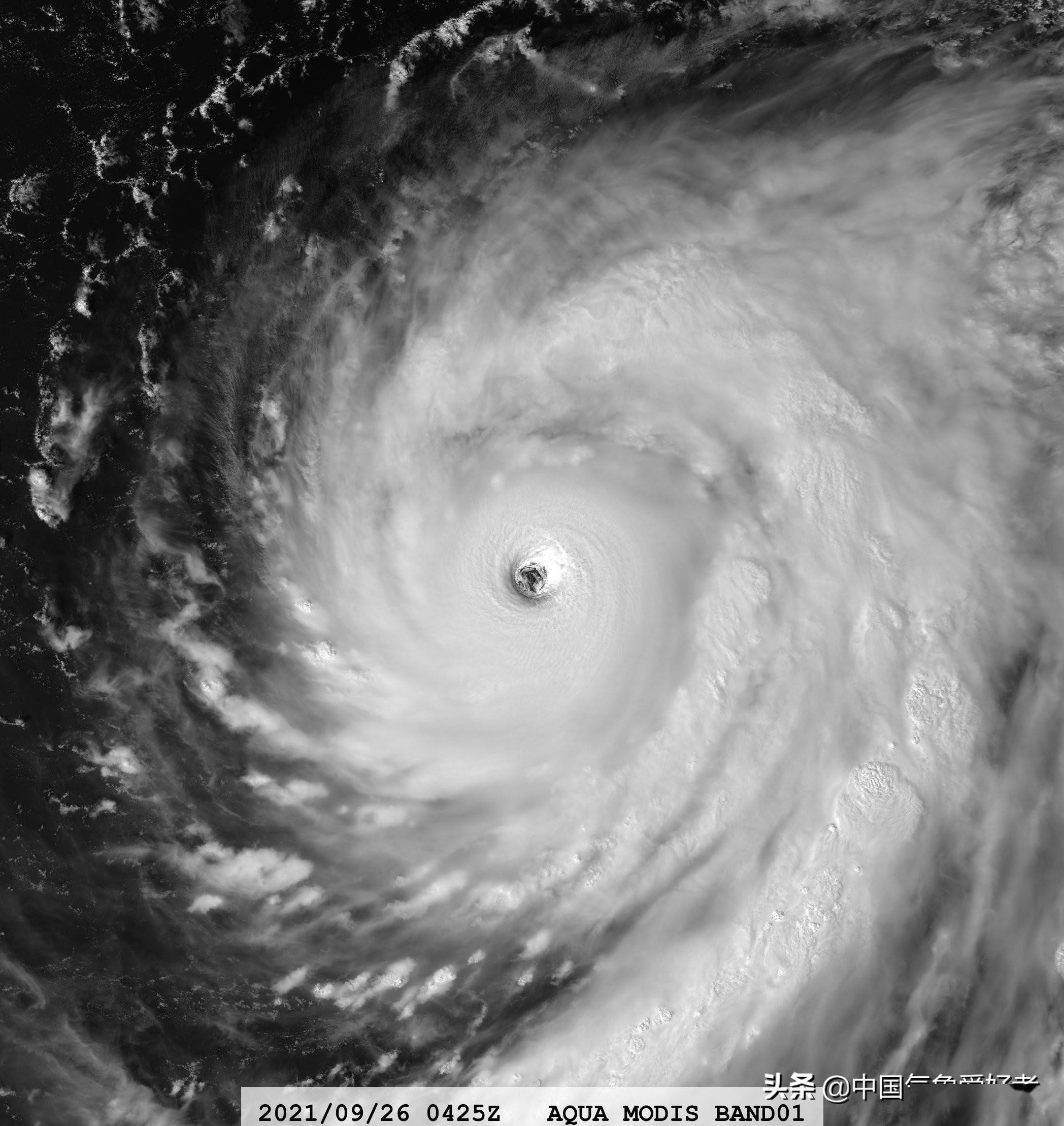
北半球第二个五级热带气旋!超强台风玛娃一巅云图纯享
图片尺寸1639x1024
其中北半球呈逆时针旋转,而南半球呈顺时针旋转.
图片尺寸1000x662
台风
图片尺寸858x593
地理,夏季太平洋受高压控制,台风是低压气旋,所以为什么会形成台风
图片尺寸690x323
25年来最强台风"飞燕"即将强势袭击日本
图片尺寸800x600
大洋西部发生的台风比大洋东部发生的台风多得多其中以西北太平洋海区
图片尺寸800x1107
台风和飓风都属于北半球的热带气旋,国际日期变更线以东到格林尼治
图片尺寸1200x795
舒力基强破平流层美国卫星专门对准网友夏天台风得多厉害
图片尺寸1088x659
台风我国台风发生的季节北半球台风主要发生在7至10月,其它季节则相对
图片尺寸593x408
北半球的台风都是逆时针旋转的,南半球的台风都是顺时针旋转的.
图片尺寸812x658
专家研究确认:环保或导致台灾增多_热带_气旋_北半球
图片尺寸2096x2217
p>台风北冕是2002年第12号台风,2002年8月3日在南海北部发展为热带
图片尺寸579x536
这奇怪的"镰刀云"其实是台风舒力基整个环流中的一部分——北半球台风
图片尺寸660x466
卡努台风台风尼伯特
图片尺寸480x320
【重要消息】超强台风向"尼泊特"福建正面袭来!
图片尺寸400x224
北半球风季而言,热带气旋活动不免有太多的戏剧性变化,2月份,2号台风"
图片尺寸513x683
在北半球,每年的3~6月份冷暖气流的交锋最为强烈,这个时候强对流天气
图片尺寸660x372
你不知道的台风五个冷知识
图片尺寸640x330
气流从四周流入中心,受地转偏向力和摩擦力的影响,在北半球,气旋气流
图片尺寸662x488
北半球台风为什么逆时针旋转1:科氏加速度
图片尺寸1499x937