发中有痣图片

发中痣
图片尺寸398x365
我头发中长痣怎么办?会不会有影响?
图片尺寸468x832![问题性皮肤管理 藏在头发里的大血管痣[恐惧]头部位置:梳头 - 抖音](https://i.ecywang.com/upload/1/img2.baidu.com/it/u=593697019,3000939048&fm=253&fmt=auto&app=138&f=JPEG?w=1026&h=663)
问题性皮肤管理 藏在头发里的大血管痣[恐惧]头部位置:梳头 - 抖音
图片尺寸1080x698
发中有痣发中有痣一般是指前额发根位置的那一圈上,平时不注意是不
图片尺寸500x334
头发里隐藏的痣是富贵痣,一生富贵逐步忧愁,而且女人发中有痣,还是
图片尺寸443x364
1,发中有痣:富贵 头发中有痣,一生不愁吃穿.jpg
图片尺寸394x432
头发里面长痣,对身体有害吗? - 知乎
图片尺寸2048x1536
身体八大富贵痣,男显富,女显贵,一生不愁吃穿,成为人上人!
图片尺寸598x268
这个痣生出来就有后来随着年龄长大在头发上大小如拇指大小
图片尺寸3264x2448
女人身上哪里长痣最好看你身上有没有
图片尺寸437x310
2,发中有痣:富贵.头发中有痣,一生不愁吃穿.
图片尺寸505x342
老公身上本来就多痣,前几天推头,发现头上有个痣,颜色不均匀,也许
图片尺寸256x342
头发里从小时候到现在的一颗肉痣不知道有没有癌变的可能需要怎么
图片尺寸3264x2448
身体4颗"发财"吉痣,命中带金,有钱花不完,越老越有钱!
图片尺寸576x339
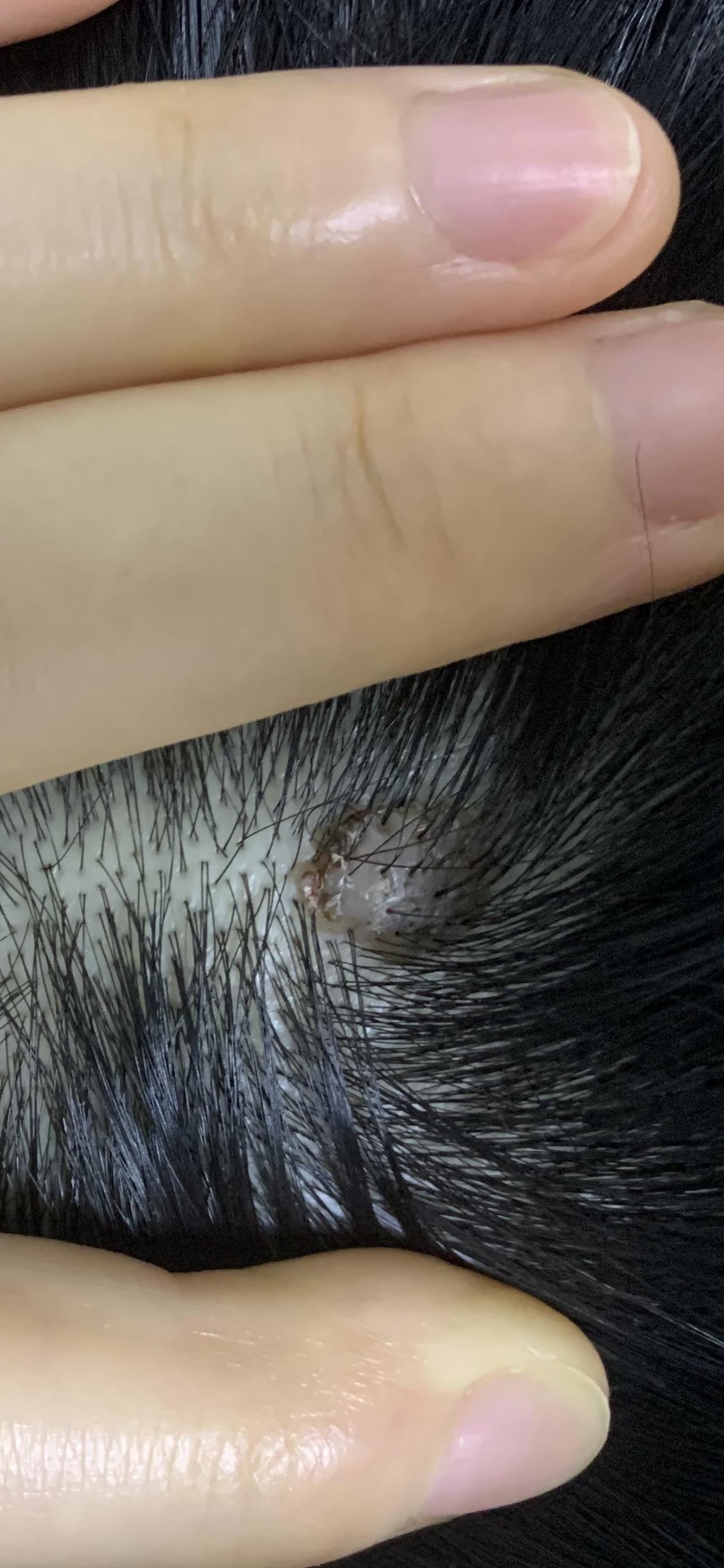
头发里的这个是痣吗
图片尺寸1242x2688
我的头皮上长了七八个很大的痣 不知道什么时候开始的,专业人士求助
图片尺寸500x535
头发里从小时候到现在的一颗肉痣不知道有没有癌变的可能需要怎么
图片尺寸3264x2448
头上有6颗痣代表什么 头上有6颗痣代表什么女人
图片尺寸500x667
富贵.头发中有痣,一生不愁吃穿.2,发中有痣
图片尺寸623x688
这三个地方有"招财吉痣",必定桃花旺,钱财不缺!__凤凰网
图片尺寸519x395