台风海燕 超过

海燕台风
图片尺寸800x1029
壮观的"海燕"--- 横扫菲律宾的超级台风
图片尺寸1000x1508
大照片超级台风海燕
图片尺寸990x660
台风海燕
图片尺寸640x426
美国宇航局太空摄下台风海燕形成全程(组图)
图片尺寸900x1175
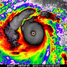
2013年台风海燕云图,数据来自向日葵8号卫星 而几世飞燕台风
图片尺寸2353x2400
台风海燕
图片尺寸690x639
201330台风海燕回顾-自在的只因-自在的只因-哔哩哔哩视频
图片尺寸1920x1080
大照片:超级台风海燕
图片尺寸720x480
海燕
图片尺寸690x460
超强台风海燕
图片尺寸268x390
德语新闻:超强台风"海燕"
图片尺寸467x274
从太空拍摄下超强台风"海燕"形成过程
图片尺寸450x579
海燕台风
图片尺寸220x220
海燕台风
图片尺寸800x533
从太空看8月30日天气:华南沿海暴雨凶猛,飞燕加强成为超强台风
图片尺寸1536x863
台风"海燕"强势来袭,在日本高知县安芸市渔港引发滔天巨浪.(路透社)
图片尺寸468x600
组图:超强台风"海燕"袭菲律宾
图片尺寸975x650
组图美国宇航局在太空拍下超强台风海燕形成全程
图片尺寸640x438
【卫星云图动画】西北太平洋超强台风海燕haiyan(2013)
图片尺寸992x620