台风热带气旋

台风是发展强盛的热带气旋,北半球占全球总数的73%
图片尺寸984x1280
台风,飓风,旋风
图片尺寸1378x1280
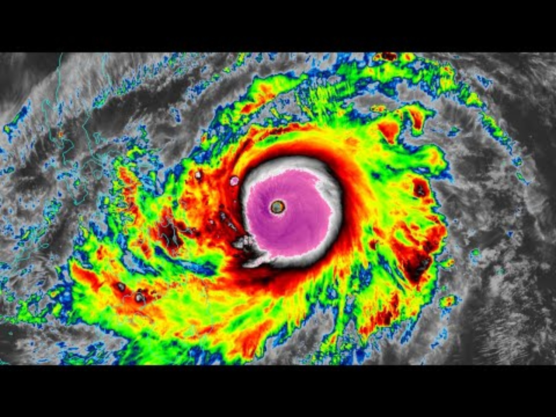
超强台风sanba红外 云图
图片尺寸1920x1440
台风南施,1961年西北太平洋台风季的一个热带气旋
图片尺寸1278x718
台风,飓风,旋风
图片尺寸979x1280
热带气旋"奇多"已到17级的60或68米每秒,相当于我国的超强台风级,过去
图片尺寸1244x1280
台风,飓风,旋风:热带气旋的多样性与强度比较
图片尺寸1024x1004
超强台风mangkhut红外 云图
图片尺寸1920x1440
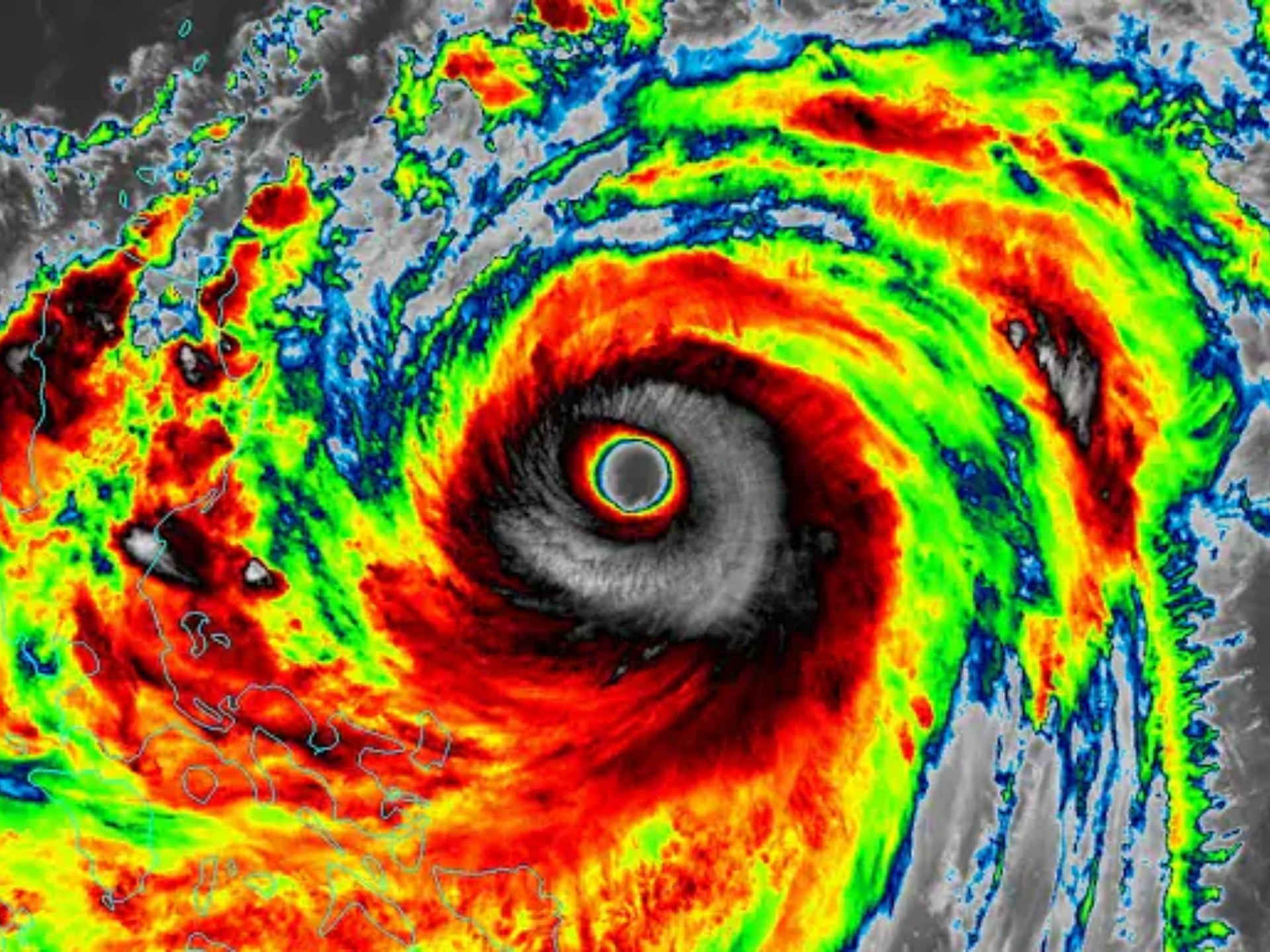
超强台风mike红外加云图
图片尺寸1920x1440
🌪️ 热带气旋:从形成到结构揭秘 🌪️
图片尺寸1024x736
台风浣袈裟成为西北太平洋最强热带气旋
图片尺寸1920x1440
「地理一则」 一,简介 台风是一种强烈的热带气旋
图片尺寸960x1280
超强台风舒力基红外 云图
图片尺寸1920x1440
台风是生成于热带海洋面上的热带气旋
图片尺寸648x425
热带气旋,飓风旋风台风,地域不同,威力各异
图片尺寸640x1088
在气象新闻中,我们常常听到"热带气旋"和"台风"这两个词汇,它们似乎有
图片尺寸640x1067
热带气旋,飓风旋风台风,地域不同,威力各异
图片尺寸640x1083
气旋,已经完成了它的又一次升级,从强热带风暴提升到了超强台风级别
图片尺寸2048x1536
台风是热带气旋的一个类别
图片尺寸540x600
台风是"热带气旋"的一种,主要指中心持续风速每秒
图片尺寸1080x561