台风玛利亚

"玛利亚"9日由热带气旋成长为台风
图片尺寸800x440
2018年超强台风"玛利亚"
图片尺寸640x330
台风玛利亚来袭,福建地震,这两天福建人民辛苦了!
图片尺寸400x300
台风玛利亚强势来袭暴风雨中行车安全如何保障
图片尺寸640x409
超强台风"玛利亚"掀起狂浪狂涛 国家海洋预报台拉响台风海浪红色警报!
图片尺寸640x397
玛利亚
图片尺寸1080x670
"玛利亚"台风登陆,那么台风名字为什么起得都那么好听
图片尺寸700x517
实拍超强台风"玛利亚"登陆:浙江沿海巨浪拍岸,仿佛欲吞噬居民楼
图片尺寸600x392
玛利亚飓风从波多黎各岛上穿过
图片尺寸1200x800
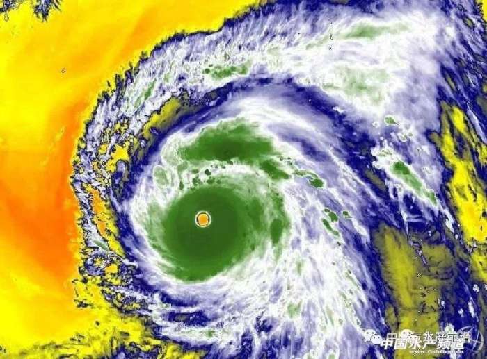
【高清云图】台风"玛莉亚"风云四号a星监测图像
图片尺寸640x470
这样的评价,不如山竹,不如飞燕,甚至略逊于玛利亚,潭美.
图片尺寸900x900
【追踪】boss级台风"玛利亚"c位持续逼近,厦门天气将.
图片尺寸1080x761
台风"玛利亚"要来了,省海洋渔业局加强渔船应急管理
图片尺寸720x558
台风玛利亚是二次元少女 作者:请温柔点
图片尺寸827x893
"玛利亚"台风来袭 快递哥风雨无阻
图片尺寸1920x1339
玛利亚台风_2016台风专题 - 成语词句网
图片尺寸1359x761
台风"玛利亚"来啦!魔都又要大变天
图片尺寸720x747
台风"玛莉亚"袭来 东南沿海巨浪拍岸
图片尺寸750x500
2018年7月11日,台风玛利亚登陆福建,登陆当日,远离福建的韶关孟洲坝
图片尺寸1024x689
超强台风"玛利亚"再度增强!加速前进!
图片尺寸860x793