台风风眼 内部
![主题:nasa拍摄的台风潭美风眼内部高清照,又美又可怕 [62]收藏该贴已](https://i.ecywang.com/upload/1/img1.baidu.com/it/u=972027652,3280480400&fm=253&fmt=auto&app=138&f=JPEG?w=500&h=333)
主题:nasa拍摄的台风潭美风眼内部高清照,又美又可怕 [62]收藏该贴已
图片尺寸1068x711
宇航员拍到强台风潭美风眼内部清晰照
图片尺寸2048x1366
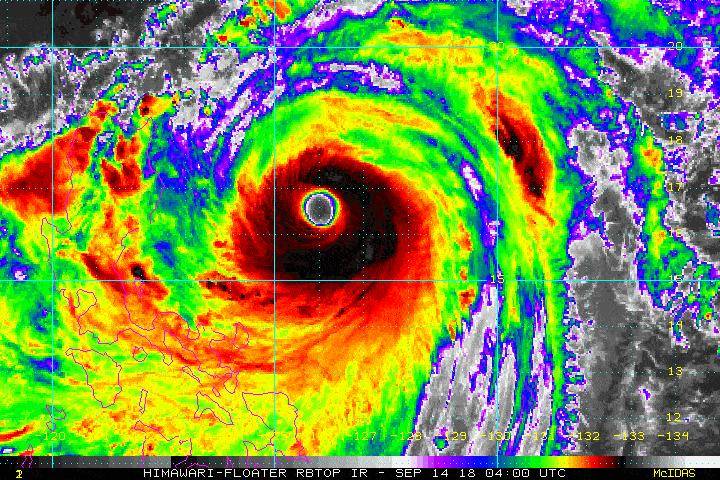
台风杜苏芮# 一个核心饱满,风眼清晰,环流庞大,实力恐怖的超强台
图片尺寸2432x1280
国际空间站宇航员实拍风王多利安:飓风风眼内一清二楚
图片尺寸640x532
台风泰利# 泰利的台风眼墙刚刚扫过茂名放鸡岛,该岛测得最大阵风1级
图片尺寸1321x1280
它拥有巨大而持久的cdg对流环,台风眼清晰深邃锐利,形态极度浑圆,还有
图片尺寸690x639
华北特大暴雨期间,核武器拦台风论再次出现,实际并不可行|灾害|飓风
图片尺寸660x814
而是从高空飞越风眼,拍摄的照片显示,台风南玛都的风眼深邃,周围的云
图片尺寸1000x624
从滴水湖到宝山吧……真是又大又圆啊#台风#台风南玛都
图片尺寸1080x1335
记录成长10气象科普看过的读过的总会留下印记
图片尺寸4160x3120
扔一颗氢弹在台风风眼引爆,能破坏超级台风吗?_核弹_人类_空气
图片尺寸720x480
6号超强台风卡努风眼大开,超算:有概率登陆5国_气流_我国_中心
图片尺寸1060x1004
扔一颗氢弹在台风风眼引爆,能破坏超级台风吗?_核弹_人类_空气
图片尺寸941x536
14级阵风 大暴雨.【930新闻眼】|菲律宾|山竹|台风_新浪新闻
图片尺寸1080x720
超强台风布拉万持续稳步增强,台风眼浑圆深邃稳定,核心云团直达对流层
图片尺寸690x673
它拥有巨大而持久的cdg对流环,台风眼清晰深邃锐利,形态极度浑圆,还有
图片尺寸690x638
台风杜苏芮绕开菲律宾,确定带风眼登陆福建!
图片尺寸640x409
日本附近惊现"台风",风眼太空可见!分析:冷涡出击
图片尺寸660x565
台风是怎样形成的?原子弹能否摧毁风眼,大自然的力量超乎想象!
图片尺寸448x252
海贝思的"风眼"变黑,最高风速已突破313公里小时_台风_日本_比赛
图片尺寸640x335