台风风眼 实拍

台风眼静,强降水区风云突变
图片尺寸1080x1415
台风"桦加沙"风眼内实拍:可看见蓝天白云甚至阳光
图片尺寸1080x652
台风"风神"致海南列车停运:法律视角下的旅客权益保障困局
图片尺寸1570x2048
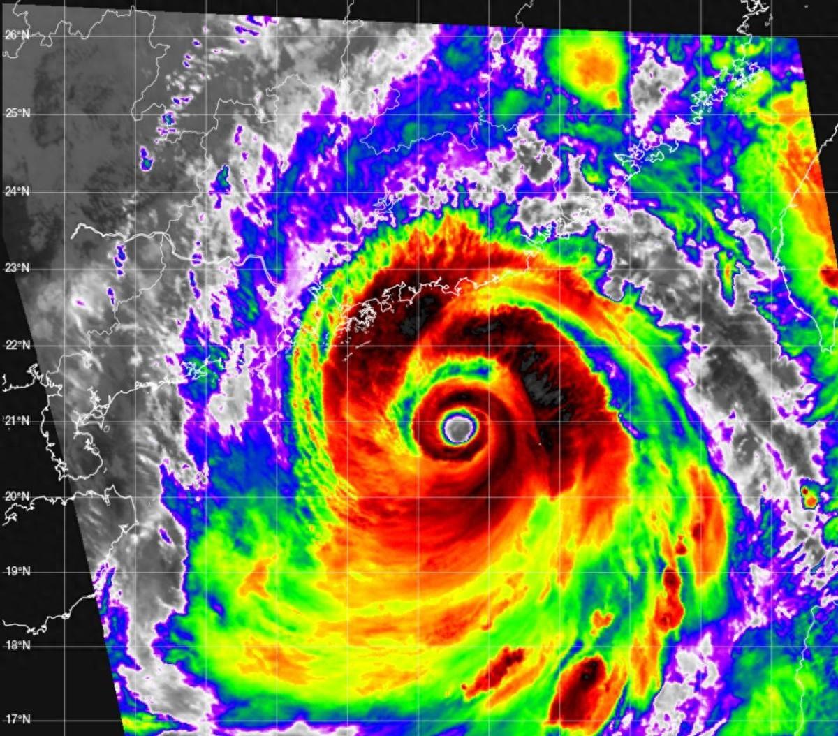
五级台风/超强台风"桦加沙"风眼置换全过程全程卫星云图
图片尺寸1633x918
贝碧嘉风眼大开,逼近上海,75年来最强台风要来了,小心!
图片尺寸1177x704
空间站视角下的超强台风"桦加沙"风眼清晰深邃
图片尺寸1920x1440
实拍台风风眼画面!香港派飞机对超强台风"苏拉"进行探测
图片尺寸720x1280
超大的台风眼
图片尺寸682x1053
其中的湍流部分更是至今都还没研究透,这四张从太空拍摄的台风眼高清
图片尺寸1080x1080
4k风暴中心台风眼漩涡ai视频素材实拍视频素材视频特效素材
图片尺寸3840x2160
4k风暴中心台风眼ai视频素材实拍视频素材
图片尺寸3840x2160
超强台风"桦加沙"将登陆广东 国际空间站拍下壮观风眼
图片尺寸1080x914
台风"桦加沙"风眼内实拍:可看见蓝天白云甚至阳光
图片尺寸1080x677
地球最强台风"桦加沙"经过珠江口,70公里巨大风眼,天空中看的清清楚楚
图片尺寸1200x1054
香港特区政府飞行服务队一架定翼机拍到的超强台风"苏拉"风眼图片
图片尺寸1080x800
超强台风桦加沙狂袭珠江口,70公里巨型风眼震撼太空,科学家惊呼末日
图片尺寸1350x828
我国空间站视角近距离感受"摩羯座"台风眼!大自然的威力有多可怕?
图片尺寸978x1280
台风"桦加沙"风眼内实拍:可看见蓝天白云甚至阳光
图片尺寸660x644
台风壁眼置换过程
图片尺寸540x960
国际空间站飞过超强台风"桦加沙"风眼:巨大白色漩涡翻腾!
图片尺寸1080x1440