叶片缺素图片

作物缺素症状 在叶片上的表现改怎么辨别呢?欢迎农友们在评论 - 兑趑
图片尺寸1176x1267
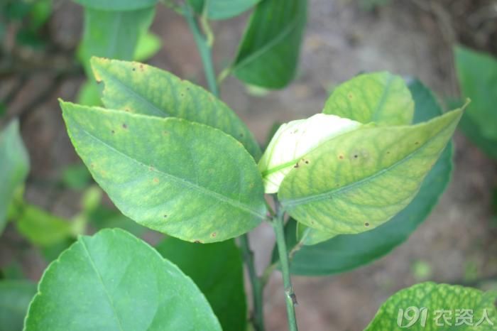
柠檬叶片缺素
图片尺寸700x466
叶片老黄化?深资老农说:黄叶不一定是缺素引起的!
图片尺寸745x993
苹果常见缺素症状图片全解!学会才能对症下药
图片尺寸700x525
(知识大全)快速诊断沙糖桔缺素症口诀,管你用一年的了
图片尺寸580x784
蓝莓常见缺素症第一节
图片尺寸572x740
作物缺素"典型"症状图!(超级实用)_叶片
图片尺寸600x402
人在旅途:梨树缺素图片
图片尺寸700x467
这张叶是什么缺素症
图片尺寸600x450
柑橘各种缺素黄叶高清图,缺什么元素一比便知!
图片尺寸677x475
矮状番茄苗老叶子发黄发白,请问是缺素么?
图片尺寸800x1422
科学平衡施肥之柑橘缺素症
图片尺寸640x762
作物叶子发黄,如何判断是缺素原因还是真菌性或细菌性病害
图片尺寸614x818
植物缺素症状的叶片表现,一看就知道!|叶片|叶肉|移动性_新浪新闻
图片尺寸640x411
柑橘缺素症状-叶与果的直观表现【图文】
图片尺寸608x409
柠檬叶片缺素
图片尺寸700x466
作物缺素"典型"症状图!(超级实用)_叶片
图片尺寸595x319
植物缺素症状的叶片表现,一看就知道!|叶片|叶肉|移动性_新浪新闻
图片尺寸610x371
柑橘各种缺素警告图!氮磷钾,钙镁铁,锰铜锌
图片尺寸598x481
农作物缺素诊断口诀图文详解简单好记值得收藏
图片尺寸998x1225