拟态生物

盘点5种拟态生物它们是动物界的伪装大师
图片尺寸465x597
有哪些拟态很厉害的生物
图片尺寸600x338
圆掌舟蛾phalerabucephala伪装成断枝茬子拟态界真是一山更比一山高
图片尺寸658x460
5大适合做宠物的物种,这种鱼可以喷火,它是地表最强拟态生物
图片尺寸887x823
棱皮树蛙属的生物都具有顶尖的拟态能力,一丛 - 抖音
图片尺寸1125x1500
有哪些拟态很厉害的生物?
图片尺寸474x355
蝴蝶似枯叶,毛虫会装蛇(动物拟态)
图片尺寸824x558
蝴蝶似枯叶,毛虫会装蛇(动物拟态)
图片尺寸600x450
蝴蝶似枯叶,毛虫会装蛇(动物拟态)
图片尺寸1080x716
有哪些拟态很厉害的生物?
图片尺寸439x316
人人网 - 浏览相册 - 虫的拟态
图片尺寸658x415
有哪些拟态很厉害的生物? - 知乎
图片尺寸816x560
昆虫界的拟态大师昆虫动物伪装照片
图片尺寸880x660
先来了解下生物拟态,生物在进化过程中形成的外表形状或色泽斑与其他
图片尺寸660x436
【按】地球上的某些物种确实很神奇,既有拟态植物,也有拟态生物
图片尺寸500x333
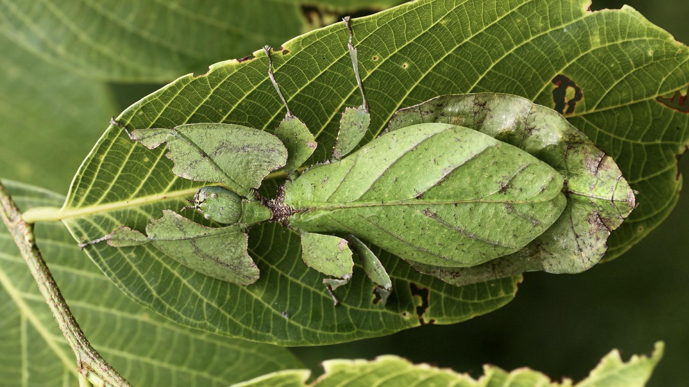
马来新发现两只新型螽斯科蝈蝈:树叶状拟态很惊人
图片尺寸600x399
高大上的相册-动物拟态收集
图片尺寸800x600
在所有关系到长相的生物性状中,"拟态"绝对是最令公众感到"大千世界无
图片尺寸2400x1350
有哪些拟态很厉害的生物
图片尺寸2480x3366
神奇的四种植物拟态
图片尺寸500x362