狗狗蠕形螨

犬蠕形螨的症状
图片尺寸420x306
巴哥感染了蠕形螨该怎么办用什么药
图片尺寸580x773
狗狗的这种寄生虫病,一发现就要治,千万别耽误
图片尺寸640x480
谁有犬蠕形螨症状的照片
图片尺寸2048x1536
狗狗嘴边皮肤发红,脱毛.小心是犬蠕形螨病.作为兽医,蠕形螨病 - 抖音
图片尺寸1080x1920
一例阿拉斯加蠕形螨的诊断治疗
图片尺寸1200x1600
狗狗得了蠕形螨怎么办
图片尺寸1920x2560
狗感染蠕形螨
图片尺寸1078x1078
狗狗常见的皮肤病诊断 (2)蠕形螨病 由犬蠕形螨寄生于毛囊,皮脂腺
图片尺寸800x576
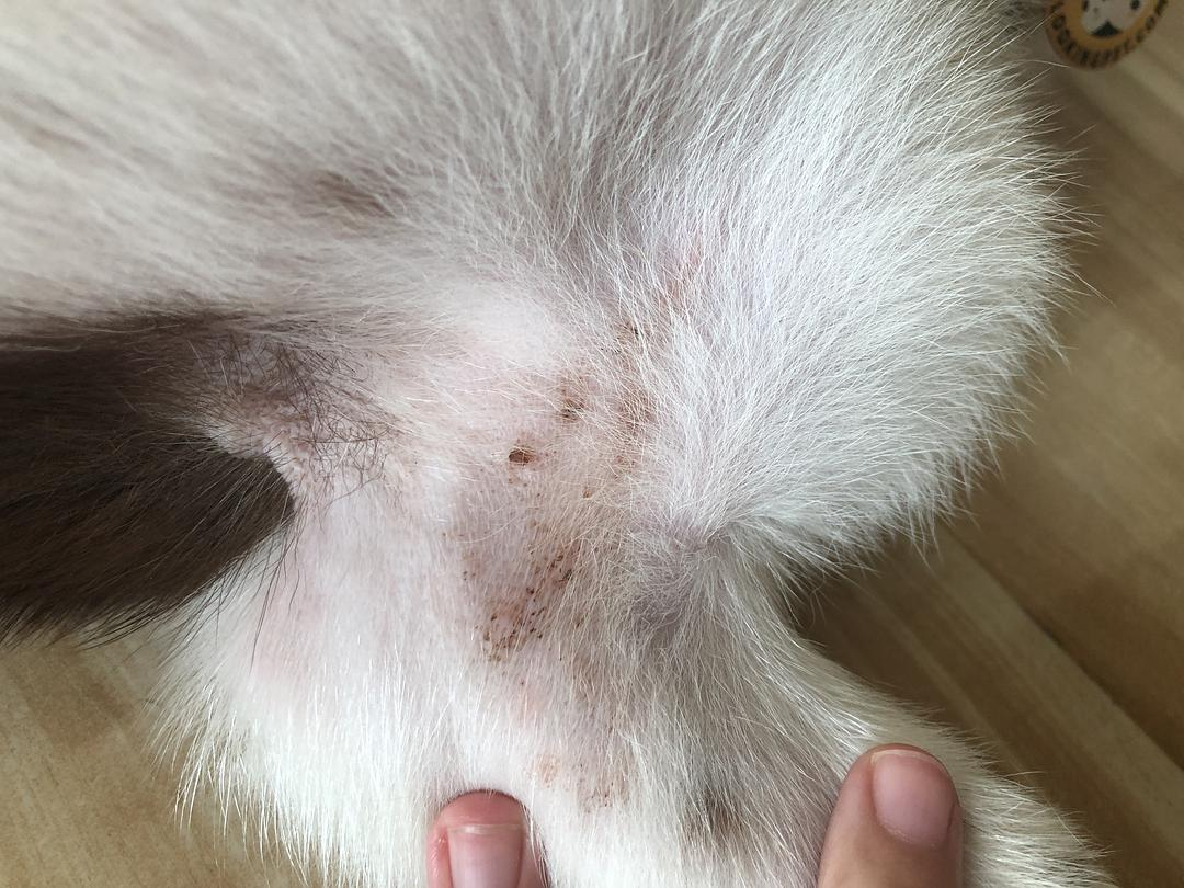
狗狗疑似蠕形螨请大家帮忙看看呜呜呜
图片尺寸960x1280
螨虫一旦占风头,狗狗就会被蠕形螨病看上,及早防治是王道
图片尺寸1280x720
犬蠕形螨治疗大概需要花费多少钱
图片尺寸1080x810
您愿意帮我一只被遗弃的巴哥妹妹治疗好蠕形螨吗
图片尺寸2736x3648
一例犬蠕形螨继发细菌和真菌感染的诊断与治疗
图片尺寸1024x1056
论|狗狗蠕形螨的病发原因,症状以及应对措施!
图片尺寸1023x682
犬的蠕形螨病的诊治及病例分析
图片尺寸523x1418
犬蠕形螨病怎么治犬蠕形螨治疗方法
图片尺寸580x350
犬蠕形螨病的基本信息
图片尺寸575x293
犬蠕形螨病怎么治犬蠕形螨治疗方法
图片尺寸580x350
分享一例严重蠕形螨脓皮病狗狗疑似库兴氏综合征
图片尺寸1440x1080