皮肤检测图片

皮肤检测与皮肤监测
图片尺寸1000x1000
手机就能做专业的皮肤检测?
图片尺寸3965x2643
肌肤管家skinrun人工智能皮肤检测皮肤大数据服务
图片尺寸931x495
智能皮肤测试仪可以检测什么
图片尺寸622x523
给皮肤做个ct检测 - 抖音
图片尺寸750x1605
韩国魔镜测试皮肤检测仪ai器仪管理脸部仪八光谱皮肤分析水分
图片尺寸460x460
visia皮肤检测仪
图片尺寸1080x608
皮肤检测
图片尺寸2784x1856
shero雪柔皮肤管理中心怎么样_团购shero雪柔皮肤管理中心-皮肤检测
图片尺寸788x1400
都会先做一个科学皮肤检测
图片尺寸927x595
墨尔本visia7代皮肤检测仪
图片尺寸1080x810
昨天去菲洛嘉用visia做了皮肤检测
图片尺寸2048x1536
visia皮肤检测仪器图片皮肤测试仪真的有用吗
图片尺寸750x492
皮肤检测一共是9张图片,医生分析的时候很真诚,没有夸大你的问题,说
图片尺寸1280x1706
韩国新款摩玑魔镜皮肤检测仪ai八光谱智能美容院专用分析仪器
图片尺寸750x1208
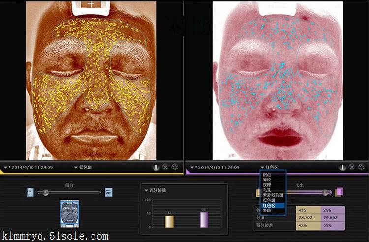
商场的皮肤检测仪是忽悠还是真的可信
图片尺寸1440x800
商场专柜的皮肤检测仪是忽悠还是真的可信
图片尺寸641x480
检测完皮肤的基本状况后会针对检测的结果给出护理的建议,让你更加
图片尺寸650x975
visia皮肤检测1次/检测肌肤问题
图片尺寸750x1596
皮肤检测
图片尺寸640x400