盐肤木果图片

有一种为自己带"盐"的野果,你吃过吗?_盐肤木
图片尺寸932x988
人体少不了盐分,这野果能"挤出"盐巴,孩童当零食吃
图片尺寸640x424
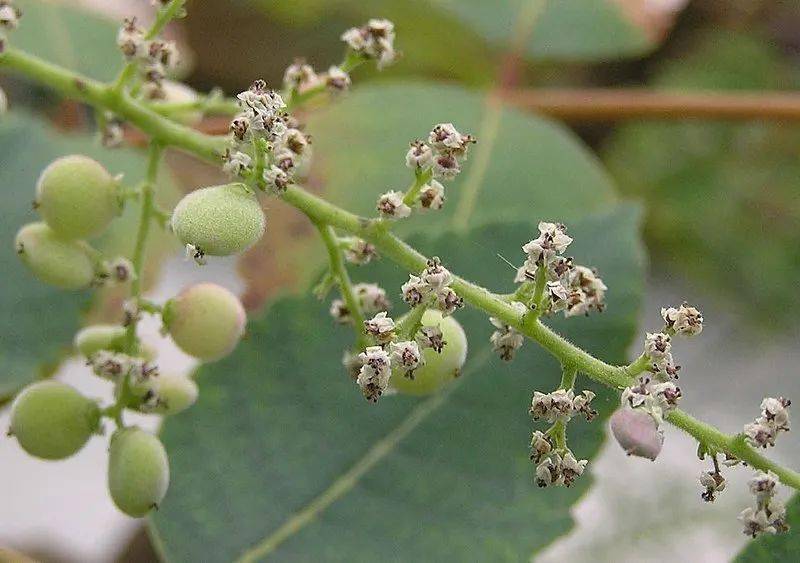
盐肤木
图片尺寸800x1066
盐肤木漆树科盐肤木属
图片尺寸1467x978
盐肤木果子熟了,别名(五倍子)(戚仓子),可以开始采摘了,有 - 抖音
图片尺寸1440x2554
农村这种树结的果,表面自带"盐霜",现在村里也不常见了
图片尺寸1024x768
盐肤木漆树科盐肤木属
图片尺寸1114x1671
《野果——盐肤子》
图片尺寸1024x768
澜沧糯福:山林的美味,盐酸果_盐肤木_果实_五倍子
图片尺寸1080x810
《野果——盐肤子》
图片尺寸1024x768
有谁在农村采摘过盐肤木上的"野果"?以前采摘扔掉,现在价格高
图片尺寸2000x1281
盐梅是客家话的叫法,其实它是盐肤木的果实,由于果实成熟以后表面披满
图片尺寸4000x3000
盐肤木 看一眼,满口生津
图片尺寸2667x2000
盐肤木的果实呈扁球形,长期暴露在外经过雨水的冲刷使得表面的盐分
图片尺寸650x488
众山果或甜或酸,盐肤木你何以为咸
图片尺寸2996x2000
农村这种树叫盐肤子树,果子长满盐,很是神奇,小时候经常摘来吃
图片尺寸488x343
盐肤木的作用介绍
图片尺寸610x447
我们用它调味染发,日本拿它染黑齿和丧服_果实
图片尺寸800x563
它是古代的调味品,集油盐醋于一身,如今却当药材种植,可惜吗
图片尺寸1000x750
盐肤木的种植栽培技术
图片尺寸500x375