石家庄天润家园

石家庄天润家园天润家园外景图鸟瞰图图片大全-我的小区-石家庄装信通
图片尺寸800x1142
一拖再拖的旧城改造 实探石家庄天润家园"待嫁"新地块
图片尺寸600x450
一拖再拖的旧城改造 实探石家庄天润家园"待嫁"新地块
图片尺寸600x450
一拖再拖的旧城改造 实探石家庄天润家园"待嫁"新地块
图片尺寸600x450
石家庄长安区精装两室可短租月付押一付一.天润家园小区!
图片尺寸1440x1080
天润家园一室,新小区,首次出租,紧临运河桥,北辰广场,铁道大学#石家庄
图片尺寸1080x809
p data-id="grmt0l521w">天润家园是由石家庄市兴华房地产开发有限
图片尺寸712x421
天润园
图片尺寸960x1280
出租天润家园两室家具家电齐全拎包入住!1800#随时看房拎包 - 抖音
图片尺寸1080x1080
天润园东区在售房源的价格为63007200元
图片尺寸1620x1080
天润家园
图片尺寸900x600
天润园东区在什么位置房子怎么样
图片尺寸1620x1080
【天润园东区】天润园东区23号楼即将清盘 好户型抓紧看_生活_景观
图片尺寸1620x1080
天润园东区在什么位置房子怎么样
图片尺寸1620x1080
天润家园
图片尺寸1000x800
天润园东区23号楼怎么样公摊小吗什么时候交房
图片尺寸1620x1080
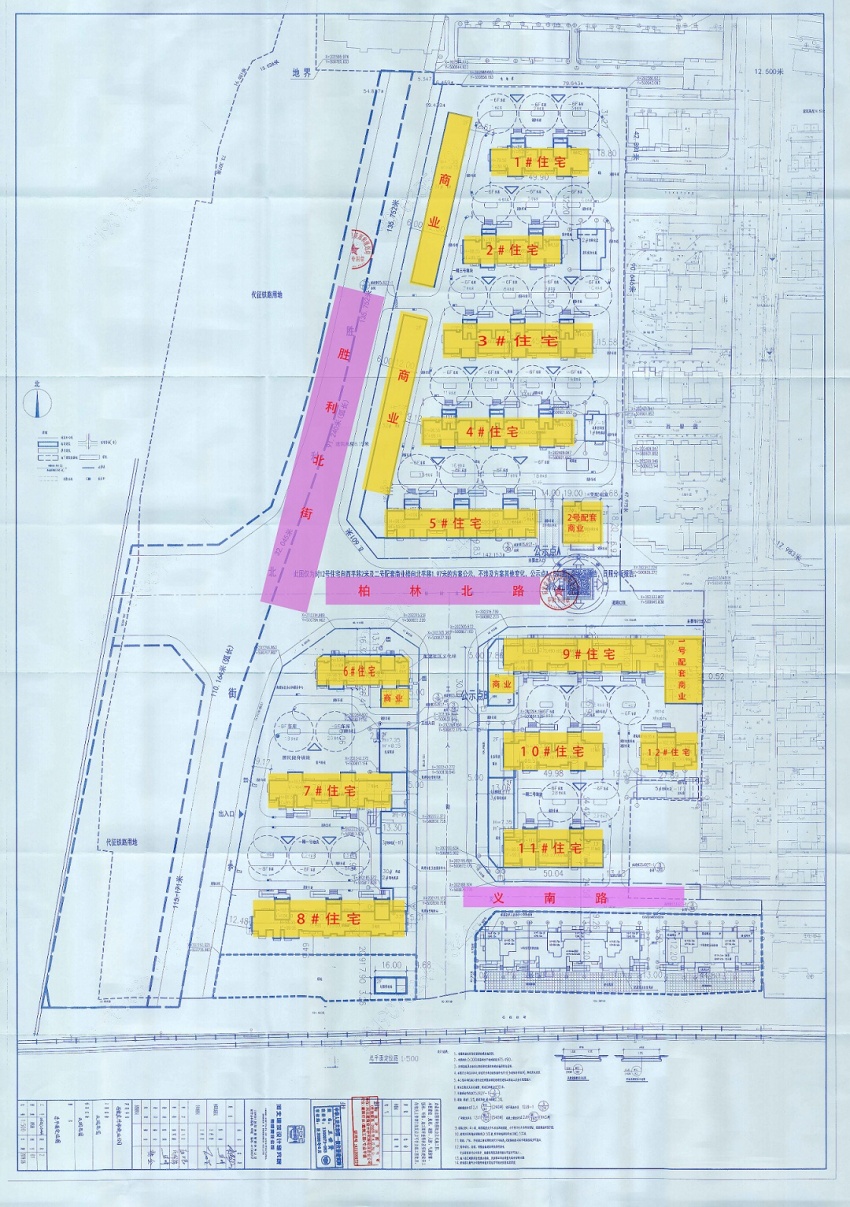
平移楼栋 天润家园吴家庄城中村改造项目设计方案调整
图片尺寸850x1207
带储间,天润家园(辛集)二手房,83万,3室2厅,2卫,131平米-石家庄安居客
图片尺寸360x312
天润家园两室义堂北国勒泰国瑞园北辰广1500
图片尺寸1080x810
带储间,天润家园(辛集)二手房,83万,3室2厅,2卫,131平米-石家庄安居客
图片尺寸488x650