突眼隐翅虫
![[捕食记录]突眼隐翅虫的弹舌捕食行为](https://i.ecywang.com/upload/1/img1.baidu.com/it/u=1341643866,27006214&fm=253&fmt=auto&app=120&f=JPEG?w=800&h=500)
[捕食记录]突眼隐翅虫的弹舌捕食行为
图片尺寸1728x1080
突眼隐翅虫亚科
图片尺寸1920x1080
虎突眼隐翅虫
图片尺寸995x622
隐翅虫有很多种类,分布于全世界,大多数生活在地表的落叶中,以食腐
图片尺寸818x1280
隐翅虫.
图片尺寸1108x832
胡氏突眼隐翅虫
图片尺寸600x1227
现生突眼隐翅虫
图片尺寸300x616
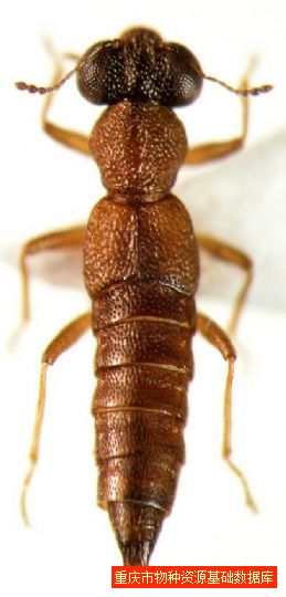
黑胫突眼隐翅虫
图片尺寸311x400
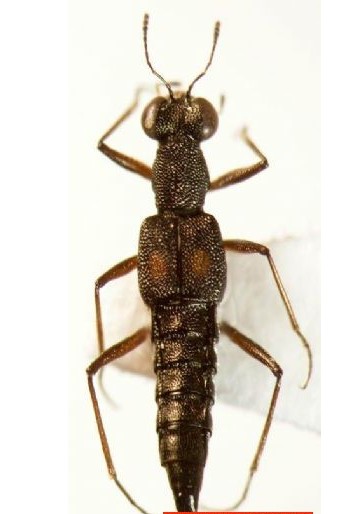
北京本地产突眼隐翅虫属隐翅虫,体长五毫米左右,野外栖息于沙土地乱石
图片尺寸1080x1920
二点突眼隐翅虫
图片尺寸304x400
小黑突眼隐翅虫
图片尺寸719x1600
黑头突眼隐翅虫
图片尺寸259x540
冠突眼隐翅虫
图片尺寸267x506
缅甸琥珀中发现极其罕见地保存了高度特化的捕食器官的突眼隐翅虫化石
图片尺寸700x526
突眼隐翅虫
图片尺寸1215x568
化石突眼隐翅虫eocenostenus(左)和现生束毛隐翅虫属(中),突眼隐翅虫
图片尺寸1299x855
异突眼隐翅虫
图片尺寸345x514
突眼隐翅虫因复眼巨大,突出于头侧而得名.
图片尺寸640x409
p data-id="t7kxoguycnpg">隐翅虫科突眼隐翅虫亚科束毛隐翅虫属的一
图片尺寸1024x768
p data-id="t7kxoguycnpg">隐翅虫科突眼隐翅虫亚科束毛隐翅虫属的一
图片尺寸450x351