管蓟马科

管蓟马科
图片尺寸960x1515
展开全部 【榕管蓟马】
图片尺寸361x220
ciralummaackii maxim
图片尺寸683x1024
林业部门不用消杀榕管蓟马会自然消亡
图片尺寸500x666
榕蓟马又名榕树蓟马榕管蓟马榕母蓟马属于缨翅目管蓟马科的昆虫瓜蓟马
图片尺寸500x332
果蔬蓟马大爆发虫量变大危害加重请及时防治
图片尺寸486x522
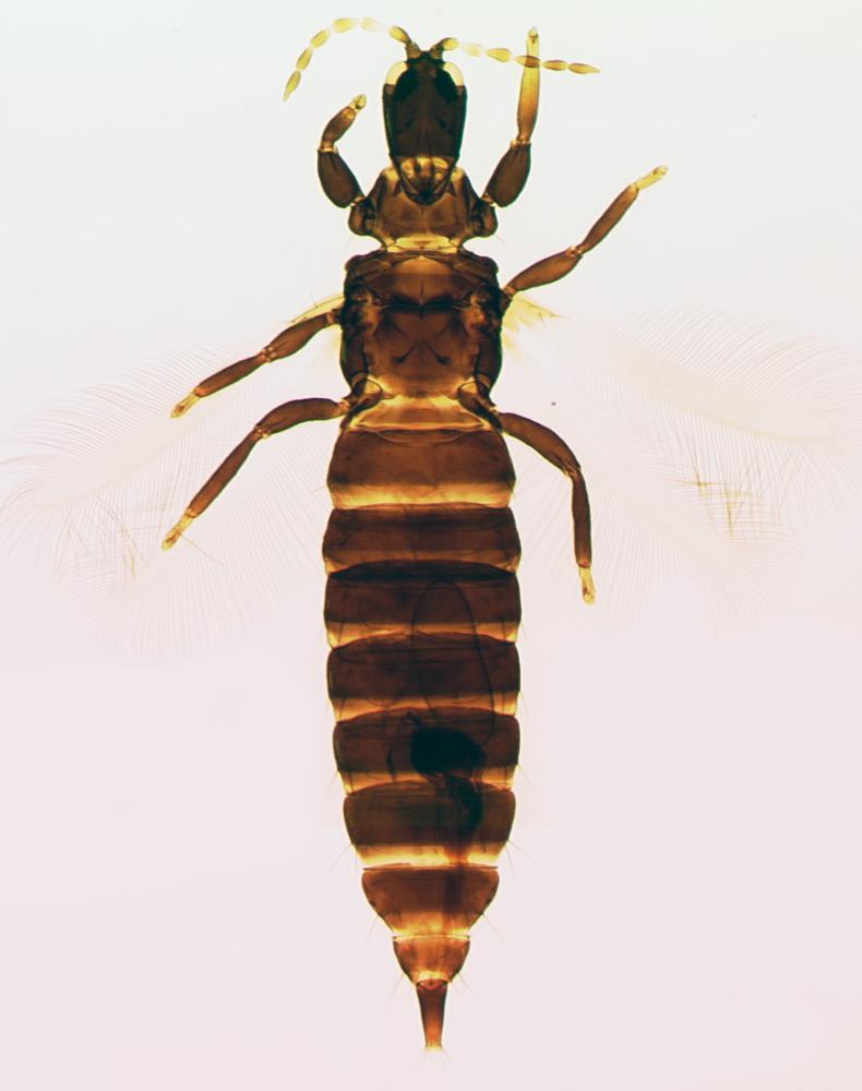
华简管蓟马
图片尺寸750x873
榕蓟马又名榕树蓟马榕管蓟马榕母蓟马属于缨翅目管蓟马科的昆虫瓜蓟马
图片尺寸500x333
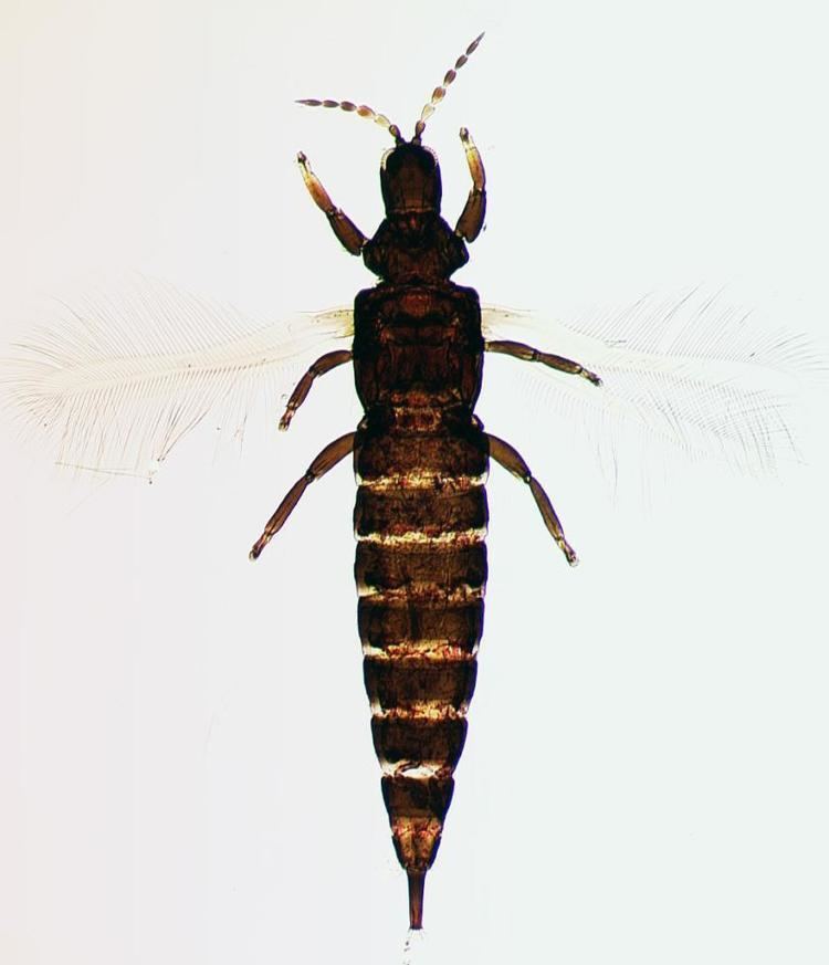
箭竹滑管蓟马
图片尺寸790x1000
">缨翅目 /a> a target="_blank" href="/item/管蓟马科/6260661"
图片尺寸478x699
稻管蓟马的为害特点
图片尺寸550x340
小蓟马大危害多地榕管蓟马爆发榕管蓟马防治方法有哪些
图片尺寸500x340
黑麦麦简管蓟马
图片尺寸366x272
三亚凤凰岛度假酒店榕管蓟马(ji ma)处理工作报告
图片尺寸750x1333
稻管蓟马
图片尺寸687x499
昆虫名,属缨翅目,管蓟马科.
图片尺寸1280x1024
一种来自西藏的管蓟马,被发现时它正在花上活动.
图片尺寸1280x852
水稻稻管蓟马的危害症状特征习性发生规律及防治方法
图片尺寸500x310
烟管蓟词条图册_百度百科
图片尺寸1200x1600
稻简管蓟马
图片尺寸900x600