花生蚜虫

花生蚜虫(附图)
图片尺寸1333x1000
夏花生蚜虫发生严重 须抓紧防治
图片尺寸800x450
最新花生蚜虫
图片尺寸640x480
最新花生蚜虫
图片尺寸640x480
花生蚜虫
图片尺寸1472x1131
夏花生蚜虫发生严重 须抓紧防治
图片尺寸1600x900
花生蚜虫如何防治
图片尺寸620x410
其它 田园知稻~花生篇产品;田园知稻 针对病虫害;花生虫,蚜虫,粉虱!
图片尺寸1200x1600
夏花生蚜虫发生严重 须抓紧防治
图片尺寸1440x1080
花生蚜虫用什么方法能去除?花生蚜虫用什么药有效以及小妙招?
图片尺寸760x568
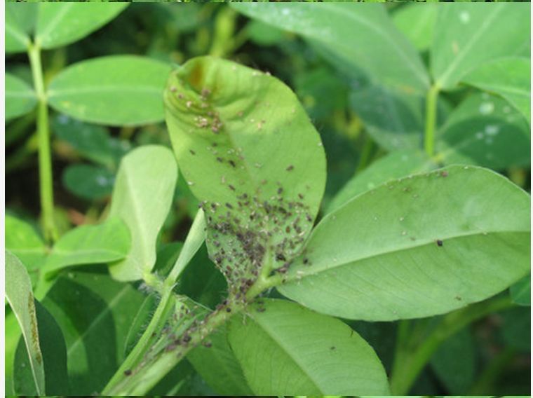
花生蚜虫怎样防治?
图片尺寸600x380
赣榆站: 喜友——花生优秀种衣剂!
图片尺寸640x480
花生蚜_植物防病_植物防病_科普惠农_甘肃大众科普网
图片尺寸506x394
正文 (一) 为害特点 在花生尚未出土时,蚜虫就能钻入土
图片尺寸500x375
蚜虫
图片尺寸1200x800
花生卷叶 - 绿色福音的个人主页 - 个人中心 - 农技社区服务平台
图片尺寸800x600
其它 田园知稻~花生篇产品;田园知稻 针对病虫害;花生虫,蚜虫,粉虱!
图片尺寸1200x1600
槐蚜主要危害时期及防治方法都有哪些?
图片尺寸557x419
请问如何防治花生蚜虫? - 农业种植网
图片尺寸900x570
密恐慎点栀子花上的蚜虫
图片尺寸1799x1125