鬼笔环肽激发光

fitc绿色荧光素标记鬼笔环肽 fitc-phalloidin 可定制科研试剂
图片尺寸404x320
华东师范大学学者实现近红外光对酶活的动态调控
图片尺寸693x489
mruby2红色荧光蛋白的激发波长和发射光波长
图片尺寸930x400
鬼笔环肽(罗丹明标记)rhodamine phalloidin
图片尺寸618x367
中国科大运用全光激发实现氪-81的单原子探测
图片尺寸700x541
luyor3415rg激发光源常见问题解答
图片尺寸920x551
yfp激发波长和发射波长
图片尺寸800x607
科学家捕捉到光激发分子的电子和原子核运动标志超快电子衍射技术应用
图片尺寸686x473
来自碘化银 (agi) 的光激发电子沿着碳纳米管行进到碘酸银 (agio3),在
图片尺寸607x423
于co2分子的lumo轨道能量过高,难以捕获光激发的热电子而产生还原反应
图片尺寸1241x851
dsred和dsred2红色荧光蛋白激发光与发射光波长
图片尺寸717x344
bfp蓝色荧光蛋白的激发光波长是多少
图片尺寸650x642
【材料】可见光激发的超长有机磷光研究的新进展
图片尺寸600x334
流式细胞术激发光发射光补偿荧光染料偶联染料thermo整理
图片尺寸1500x481
叶绿素能否受到非可见光的激发?它的感光波长范围大概是多少?
图片尺寸695x300
提出了基于可见光激发的分子间电荷转移用于光氧化还原催化的新概念
图片尺寸1463x536
gfp的激发光波长和gfp的发射光波长
图片尺寸928x1378
光催化剂在入射光的照射下激发产生光生电子-空穴对,吸附在光催化剂
图片尺寸2674x2248
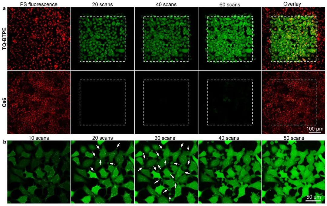
新加坡国立大学刘斌教授团队近红外二区光激发有机光敏剂实现精准高效
图片尺寸1080x681
oregon green64 488 鬼笔环肽
图片尺寸650x434