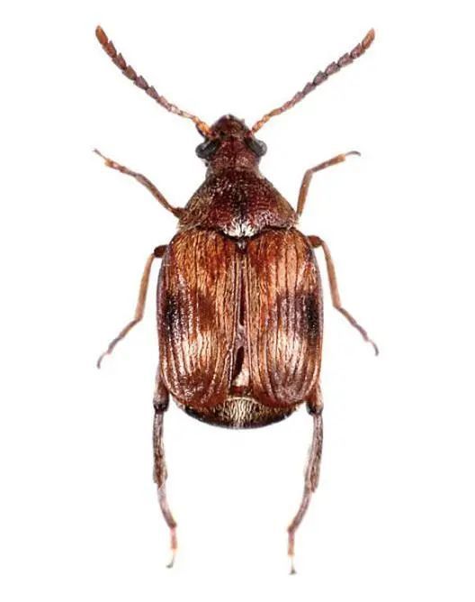
鹰嘴豆象

豆类植物的天敌——豆象
图片尺寸640x512
鹰嘴豆象(图片来源:动植物检疫信息资源共享服务平台http://info.
图片尺寸559x700
鹰嘴豆象(图片来源:动植物检疫信息资源共享服务平台http://info.
图片尺寸528x668
鹰嘴豆象
图片尺寸300x250
豆象(昆虫纲鞘翅目的动物)_尚可名片
图片尺寸489x527
皇岗海关查获货车集装箱暗格夹藏走私香烟天津海关截获害虫鹰嘴豆象
图片尺寸441x328
p>昆虫名,为鞘翅目,豆象科.
图片尺寸1328x708
豆象.jpg
图片尺寸409x473
虫子豆象的巨擘生殖器
图片尺寸1024x768
豆象(昆虫纲鞘翅目的动物)_尚可名片
图片尺寸1024x769
展开全部 这个是豆象
图片尺寸500x375
如何防治豆象虫 - 虫害百科 - 上海杀虫_灭白蚁_上门灭鼠-上海白蚁
图片尺寸600x400
绿叶上的一种长形豆象
图片尺寸1200x775
一般是 豆象.
图片尺寸271x400
豆象虫 (资料图)
图片尺寸500x333
从哪生出来的?
图片尺寸700x525
昆虫世界3-甲壳虫_2 作者:justin的美篇
图片尺寸2058x1373
疯狂的豆象
图片尺寸1080x779
豆象
图片尺寸333x372
豆象 终于知道这个是什么虫了,和米虫有点像,但身体圆滚,也是害虫.
图片尺寸960x1280