黄浦区148旧区改造图

《黄浦区空间布局"十四五"规划》解读
图片尺寸1280x1810
上海市黄浦区十四五的绿化建设居民外迁仍很重要成本也比较高
图片尺寸625x643
【规划】黄浦区空间布局"十四五"规划出炉,解读在此
图片尺寸1080x1527
上海市黄浦区旧改的潜在良性循环:腾退居民后,让旧里变成新产业
图片尺寸640x804
黄浦区单元规划草案今起公示将打造三带两轴四组团整体结构
图片尺寸1080x1345
上海市旧改要破除旧思想还想着黄浦区能原地安置完全不现实
图片尺寸474x540
黄浦区成片旧改分布图截止2018.jpeg
图片尺寸549x601
2016黄浦区旧区改造
图片尺寸600x848
黄浦区单元规划草案今起公示!将打造"三带两轴四组团"整体结构
图片尺寸1080x1304
上海市黄浦区规划和自然资源局供图
图片尺寸1080x1193
旧区改造如何与风貌特征相平衡?黄浦区委书记前来答疑解惑!
图片尺寸960x720
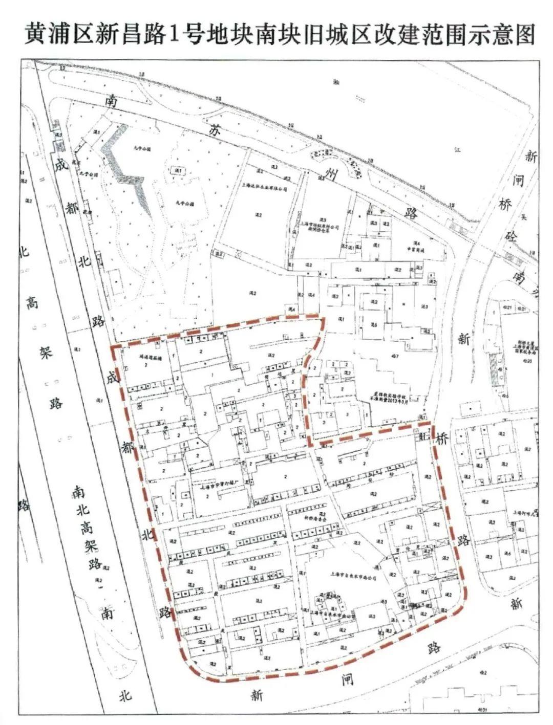
黄浦区又有三个旧改地块获批!
图片尺寸1080x1417
卯足干劲黄浦老城厢的这个旧改征收基地开工了
图片尺寸1080x764
黄浦这两个旧改地块相继启动丨城市更新
图片尺寸1080x1527
黄浦区单元规划草案今起公示!将打造"三带两轴四组团"整体结构
图片尺寸1080x1221
黄浦区单元规划草案今起公示!将打造"三带两轴四组团"整体结构
图片尺寸1080x1354
改造范围内现状建筑面积43.15万㎡,涉及总户数945户.
图片尺寸557x322
5 万户 232 万㎡÷ 50 万㎡/年 5 年 黄浦区 2018年底 81 万㎡ 老城
图片尺寸969x1000
规划黄浦区空间布局十四五规划出炉解读在此
图片尺寸1080x1527
黄浦区领导杲云巢克俭等调研区生态环境综合治理工作
图片尺寸1080x842